Lot 2 - Seaview in Jacobs Well offers an incredible opportunity for those seeking a coastal lifestyle with convenient amenities nearby.
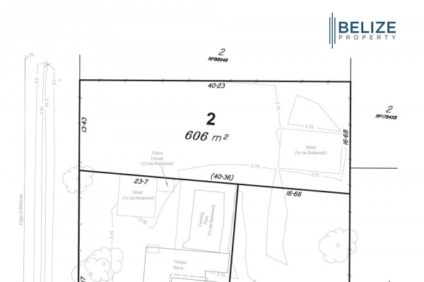
With a spacious 606m2 lot, a frontage of 13.43 meters, rear frontage of 16.6m and a length of 40 meters, there's plenty of room to build your dream home
You are positioned perfectly to access the water and sandy beach area for swimming or fishing. Take a small stroll to the boat ramp and jetty and soak up the serenity. Also within easy walking distance is The Flying Pie Bakery- renowned for the best pies on the Gold Coast, Jacobs Well Tavern, a bottle shop, convenience store, chemist, doctors, hairdresser, two takeaways, and petrol station.
* 10 Minutes by Car to Ormeau Train Station
* Multiple Schools Within Easy Access
* 15 Minutes to Westfield Coomera
* 10 Minutes to Pimpama City
* 45 Minutes to Gold Coast Airport
* 50 Minutes to Brisbane Airport
When buying in Jacobs Well you will love the lifestyle that includes a very close community spirit.
Contact Trish or Nathan today to schedule your viewing!
Land Size
606 Square Mtr
